Emsal, TAKS & KAKS Nedir? İnşaat Hakkı ve Plan Okuma Rehberi
Emsal, TAKS ve KAKS kavramları arsa üzerinde ne kadar ve nasıl yapı yapılacağını belirler. Hesaplama yöntemleri, örnekler ve plan notları nasıl okunur detaylarıyla.
ŞEHIR PLANLAMAMIMARLIK
Dara Elçi
11/27/2025


Emsal, TAKS ve KAKS Nedir?
İmar planlarında arsa sahipleri ve yatırımcıların en sık karşılaştığı kavramlardan biri olan “emsal/TAKS/KAKS” üçlüsü, yapının nerede, ne kadar ve nasıl inşa edileceğini belirler.
Bu terimlerin doğru anlaşılması, plan notlarını okuma, proje hazırlama ve yatırım kararları için kritik önemdedir.
Emsal (KAKS) Ne Anlama Geliyor?
Emsal ya da KAKS (Kat Alanı Kat Sayısı), bir parsel üzerine yapılabilecek toplam inşaat alanının arsa alanına oranıdır.
Formül: Toplam inşaat alanı = Arsa alanı × Emsal (KAKS)
Örnek: 500 m² arsanız var ve KAKS değeri 1,20 ise toplam inşaat hakkınız: 500 × 1,20 = 600 m². Bu 600 m²’yi kat sayısı, kat planı ve çekme mesafelerine göre dağıtabilirsiniz.
TAKS (Taban Alanı Kat Sayısı) Ne Demek?
TAKS, binanın arsa üzerindeki taban oturum alanının, arsa alanına oranını gösterir.
Formül: Taban oturum alanı = Arsa alanı × TAKS
Örnek: 600 m²’lik arsanız ve TAKS değeri 0,30 ise taban katın en fazla 180 m² oturabilir. Eğer her kat 180 m² olacak şekilde planlanırsa, kat sayısı ve toplam alan KAKS sınırına göre hesaplanır.
Örnek Hesaplama
Diyelim ki bir arsanız var:
Arsa alanı: 600 m²
TAKS: 0,30 → taban oturum: 600 × 0,30 = 180 m²
KAKS / Emsal: 1,80 → toplam inşaat hakkı: 600 × 1,80 = 1.080 m²
Bu durumda;
Zemin kat 180 m² oturum yapabilir,
Eğer her katta 180 m²’lik kat planı yapılırsa 6 kat kadar yapılabilir (6 × 180 = 1080 m²).
Bu plan, plan notları, yapı nizamı, yükseklik sınırı ve çekme mesafeleri doğrultusunda değerlendirilir.
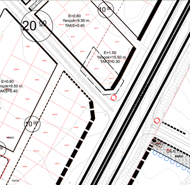
Plan Notlarını Okurken Nelere Dikkat Etmeli?
Plan paftasında “E:” veya “emsal/KAKS”, “TAKS:” ve “Hmax / kat adedi” gibi ifadeler dikkatlice okunmalı.
Hesaplamada kullanılan arsa metrekaresi ve plan notlarındaki “net arsa”, “ada-parsel” bilgileri doğru olmalı.
Parsel geometrisi, eğim, yol cephe uzunluğu gibi faktörler, uygulanabilir plan ve değişiklikleri etkiler.
Sonuç
Emsal, TAKS ve KAKS değerleri bir arsanın üstüne ne kadar, ne şekilde yapı yapılacağını belirleyen en kritik kılavuzlardır.
Bu oranları ve plan notlarını doğru anlamak, hem yatırımcı hem vatandaş olarak hak kaybını önler, doğru karar almanızı sağlar.
Şehir planlama ve mimari danışmanlık hizmetleri ile sizinle buluşmaya hazırız.
İletİŞİM
© 2025. Dara ELÇİ


