Parsel Yol veya Park’a mı Giriyor? Ne Yapabilirsiniz? Haklarınız ve Seçenekler
Parseliniz yol ya da park alanına denk geldiyse ne yapmalı? Kamulaştırma, plan değişikliği, dava ve haklarınızı anlattığımız detaylı rehber.
ŞEHIR PLANLAMA
Dara Elçi
11/26/2025


Sorun: Parsel Yol veya Parka Giriyor Ne Anlama Geliyor?
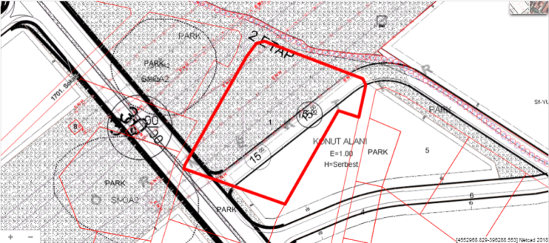
Parselinizin bir kısmı ya da tamamı yol, park, yeşil alan gibi kamu hizmet alanına denk geliyorsa, kullanım ve hak açısından belirsizlik oluşabilir. Bu durumda “arsa gitti” gibi düşünceler olabilir ama seçenekleriniz ve hakkınız var.
Duruma Göre Çözüm Yolları
1. Parselinizin Bir Kısmı Yola/Parka Girmişse
Parselinizin sadece bir kısmı yol ya da parka denk düştüyse (örneğin plan sonrası yola bıraktığınız kısım varsa), bu durum 3194 Sayılı İmar Kanunu uyarınca değerlendirilir. Bu kod maddesine göre, parselinizin bir kısmı kamusal alana ayrılırken süreç işler, Düzenleme Ortaklık Payı (DOP) ya da “yola terk/plan uygulama” süreçleri gündeme gelebilir.
Bu durumda yapmanız gerekenler:
Mevcut parsel sınırlarını ve plan krokisini kontrol edin.
Yol/parka giren kısmın oranına bakın; plan uygulaması aşamasında hak kaybı var mı, daha fazla pay alınmış mı kontrol edin.
Eğer plan uygulanmış ve kamulaştırma yapılmamışsa hakkınızı araştırın.
Parselinizin Tamamı Kamusal Alana Ayrılmışsa
Eğer plan kararlarına göre parseliniz tamamen “yol, park, yeşil alan, kamu hizmet alanı” kapsamına giriyor ise, arsanızın yapılaşma hakkı büyük ölçüde ortadan kalkar. Bu durumda hak talebi ortaya çıkar:
Kamulaştırma işlemi başlar: Kamusal alana dahil parselde belediye/kurum kamulaştırma yapmalıdır. Eğer kamulaştırma gecikmişse, kamulaştırmasız el atma davası gündeme gelebilir. Bu süreçte mahal, parsel değeri ve bilirkişi raporu önemlidir.
Plan Değişikliği veya Revizyon Talebi
Eğer plan kararı teknik olarak hatalı, ölçü hatası var ya da parsel sınırı yanlış belirlenmişse, plan değişikliği, revizyon planı veya mevzi imar planı teklifi hazırlanabilir.
Bu aşamada:
Plan notlarını ve paftayı analiz edin,
Gerekçeli plan teklif dosyası hazırlayın,
Belediye meclisine başvurun,
Askı süreci ve itiraz haklarını kullanın.
İzlenecek Adımlar – Ne Yapmalısınız?
Parsel ve plan durumunuzu sorgulayın — tapu, kadastro, güncel imar planı.
Yola/Parla giren kısmı ölçün — ne kadar kısmı plan içinde? Tam parsel mi, kısmı mı?
Belediye ve kadastro yazışması yapın — plan kararını ve kamulaştırma durumu öğrenin.
Eğer parselin tamamı kamusal alandaysa: kamulaştırma ve hukuki süreci başlatın.
Eksik veya hatalı plan varsa: plan değişikliği / revizyon teklifi hazırlayın.
Bir şehir plancısı ile birlikte dava, harita veya idari süreçleri yönetin.
Şehir planlama ve mimari danışmanlık hizmetleri ile sizinle buluşmaya hazırız.
İletİŞİM
© 2025. Dara ELÇİ


